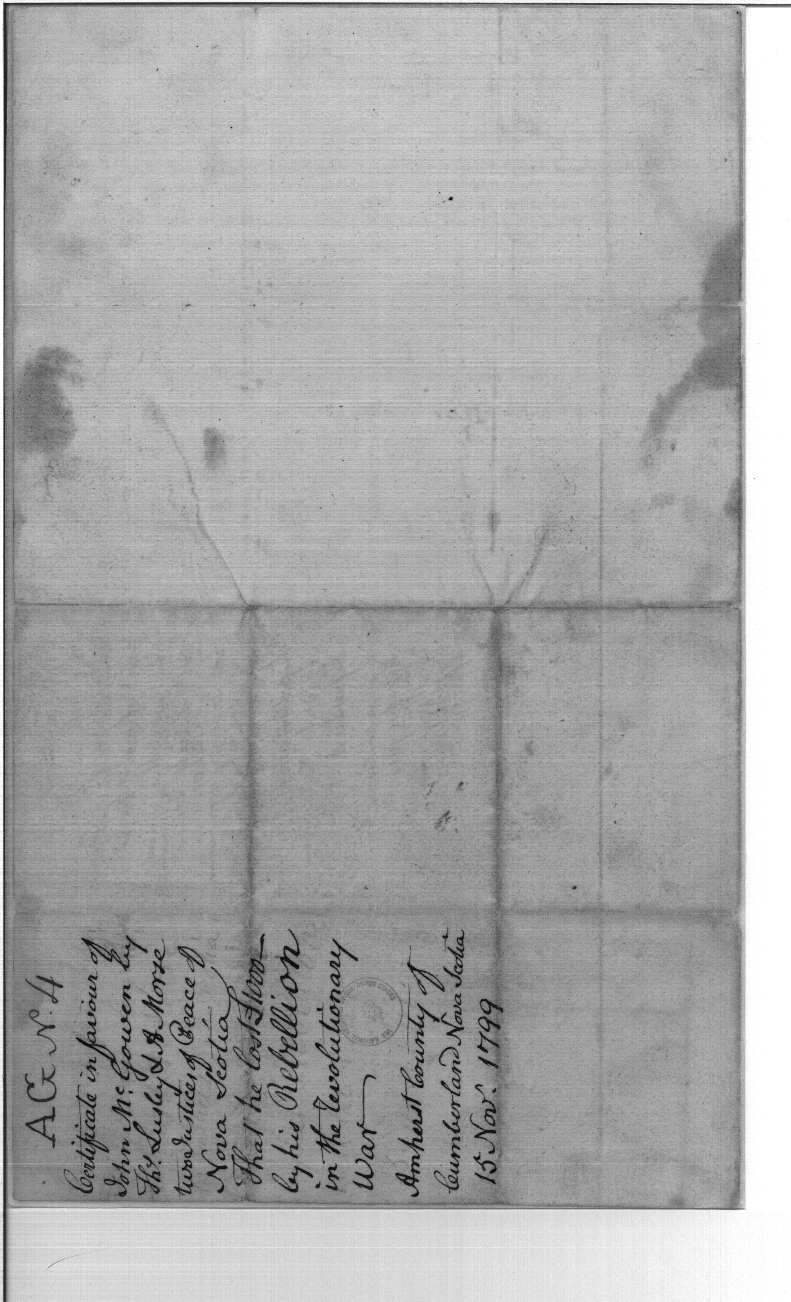
Document ViewerCertificate in favor of John McGown
- Document: Certificate in favor of John McGown
- In image: ZCF09a (2 pages)
- In source: Collection: Fred Manning Collection of Documents from Various Series in RG217. (RG217)
- Location in source: B: 50
- Page number: 1
- Page count: 2


